Zwangsversteigerung: 9232 Rosegg keine - land- und forstwirtschaftlich genutzte Liegenschaft

Ortsanfang    Ortsanfang  


Wien  ♦  Niederösterreich  ♦  Burgenland  ♦  Oberösterreich  ♦  Salzburg  ♦  Tirol  ♦  Vorarlberg  ♦  Steiermark  ♦  Kärnten


Information   Details
Edikt: Versteigerung (10.12.2025)
Gericht - Aktenzeichen: BG Villach (752) - 17 E 31/25i
Liegenschaftsadresse: 9232 Rosegg keine
Kategorie: land- und forstwirtschaftlich genutzte Liegenschaft
Objektbezeichnung: Grünland
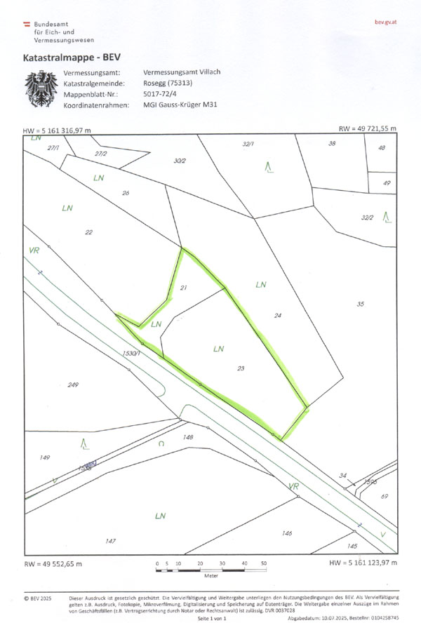
Beschreibung: Grundstück (zwei Parzellen) am westlichen Ortsrand der Marktgemeinde Rosegg direkt an der Rosegger Landesstraße; in west- östlicher Richtung leicht abfallend, mit einem Traktor gut zu befahren. Belastet mit Fruchtgenussrecht und Wegerechten.
Grundstücksgröße: 3.042 m²
Objektgröße: 0,00 m²
Schätzwert: 8.100,00
geringstes Gebot: 8.100,00
Vadium: 810,00
mitzuversteigerndes Zubehör: --
Langgutachten: Anlagen.pdfAnlagen.pdf   Bortolin Antonio.pdfBortolin Antonio.pdf  
Lageplan: Bortolin Lageplan.jpgBortolin Lageplan.jpg   Bortolin Kartenausschnitt.jpgBortolin Kartenausschnitt.jpg  
Fotos: Bortolin Antonio-Bilder.jpgBortolin Antonio-Bilder.jpg   Bortolin Luftbild.jpgBortolin Luftbild.jpg   Bortolin Umgebung.jpgBortolin Umgebung.jpg  
Direktlink: https://edikte.justiz.gv.at/    (Eingebundene Vorschaubilder sind embedded content von edikte.justiz.gv.at; die Links verweisen direkt auf die entsprechende externe Seite.)


Ihr Wohnkredit zu Top-Konditionen.
Kompetente, kostenlose Expertenberatung.
Für Hausbau oder Wohnungskauf.
Österreichweiter Marktvergleich.
Rasch und einfach: Wohnkredit-Rechner
  Geld sparen durch Gaspreisvergleich.
Gasanbieter vergleichen, wechseln und
damit mehrere hundert Euro sparen.
Kostenlos und unverbindlich - alles online.
Jetzt österreichweit Gaspreise vergleichen.
  Supergünstig zum Eigenheim!
Über 60 Anbieter im kostenlosen
Online‑Kreditvergleich (Stand 12/2025)
Die besten Angebote - fix und variabel.
Top-Konditionen - schnell am Konto!

Ortsende Wien  ♦  Niederösterreich  ♦  Burgenland  ♦  Oberösterreich  ♦  Salzburg  ♦  Tirol  ♦  Vorarlberg  ♦  Steiermark  ♦  Kärnten   

| Impressum  |  Datenschutz |