Zwangsversteigerung: 1010 Wien Seilerstätte 6 / Singerstraße 30 - Eigentumswohnung

Ortsanfang    Ortsanfang  


Wien  ♦  Niederösterreich  ♦  Burgenland  ♦  Oberösterreich  ♦  Salzburg  ♦  Tirol  ♦  Vorarlberg  ♦  Steiermark  ♦  Kärnten


Information   Details
Edikt: Versteigerung (17.06.2026)
Gericht - Aktenzeichen: BG Innere Stadt Wien (001) - 74 E 133/24y
Liegenschaftsadresse: 1010 Wien Seilerstätte 6 / Singerstraße 30
Kategorie: Eigentumswohnung
Objektbezeichnung: Vermietete Eigentumswohnung
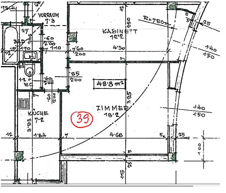
Beschreibung: Vermietete Eigentumswohnung in einem augenscheinlich guten Erhaltungs- und Ausstattungszustand bestehend aus einem Zimmer, einem Kabinett, einer Küche, einem Badezimmer, einem WC und kleinem Vorraum. Nutzflächenangaben weichen zwischen einzelnen Quellen (Nutzwertgutachten, Bauplan) etwas ab. Gebäude steht unter Denkmalschutz. Die Wohnung ist derzeit vermietet. Der Mietvertrag wurde am 3.5.2021 befristet bis 31.5.2026 abgeschlossen. Die Nettomiete betrug im Zeitpunkt des Mietvertragsabschlusses EUR 596,34. Nach Angaben der bei der Befundaufnahme angetroffenen Mieterin beträgt der Hauptmietzins aktuell EUR 677,33.
Grundstücksgröße: 330 m²
Objektgröße: 46,00 m²
Schätzwert: 530.000,00
geringstes Gebot: 265.000,00
Vadium: 53.000,00
mitzuversteigerndes Zubehör: Ein Kellerabteil ist grundbücherlich nicht zugeordnet. In natura konnte ein solches auch nicht besichtigt werden.
Wert des Zubehörs: nicht festgestellt
Langgutachten: ggavw1010 WienSingerstraße30Top39_K2_mB-signed.pdfggavw1010 WienSingerstraße30Top39_K2_mB-signed.pdf  
Lageplan: Lageplan.PNGLageplan.PNG  
Grundriss: Grundriss.PNGGrundriss.PNG  
Fotos: Foto.PNGFoto.PNG  
Direktlink: https://edikte.justiz.gv.at/    (Eingebundene Vorschaubilder sind embedded content von edikte.justiz.gv.at; die Links verweisen direkt auf die entsprechende externe Seite.)


Ideal für Beträge von 1.000 € bis 75.000 €
Der Ratenkredit aus dem Internet.
Einfach Zuhause die Anbieter vergleichen.
Abschluss online - schnell am Konto!
Hier: Kreditrate und Zinssatz berechnen!
  Top Versicherungsschutz für Ihre Immobilie.
Durch online-Preisvergleich zur besten Eigenheimversicherung.
Top aktuelle Angebote: Stand 04/2026
Online-Test: Eigenheimversicherung
  Die Finanzierung für Ihren Hausbau:
Baufinanzierung & Baukredit-Rechner.
Maßgeschneidert und Top-Konditionen.
Schnelle & unbürokratische Abwicklung.
Monatsrate und Zinsen: Online-Rechner

Ortsende Wien  ♦  Niederösterreich  ♦  Burgenland  ♦  Oberösterreich  ♦  Salzburg  ♦  Tirol  ♦  Vorarlberg  ♦  Steiermark  ♦  Kärnten   

| Impressum  |  Datenschutz |