Zwangsversteigerung: 1220 Wien Auernheimergasse 57 - bebaubare Liegenschaft

Ortsanfang    Ortsanfang  


Wien  ♦  Niederösterreich  ♦  Burgenland  ♦  Oberösterreich  ♦  Salzburg  ♦  Tirol  ♦  Vorarlberg  ♦  Steiermark  ♦  Kärnten


Information   Details
Edikt: Versteigerung (16.12.2025)
Gericht - Aktenzeichen: BG Donaustadt (027) - 68 E 6/24d
Liegenschaftsadresse: 1220 Wien Auernheimergasse 57
Kategorie: bebaubare Liegenschaft
Objektbezeichnung: Baugrund mit Rohbau EZ 6032
Beschreibung: Baugrund mit zwei Doppelhaushälften (KG, EG, OG, DG) in Rohbauzustand. Die Liegenschaft ist straßenseitig mit einem Bauzaun begrenzt und an den Seiten mit Maschendrahtzaun eingefriedet. Eine Abgrenzung zu dem dahinter liegenden Bauplatz fehlt. Das Grundstück hat einen annähernd rechteckigen Zuschnitt mit einer Breite von ca. 11 m, eine Länge von ca. 28 m und ist eben. Das Grundstück ist verwildert, darauf sind Baumaterialien und Gerümpel abgelagert. Das darauf errichtete Objekt befindet sich im Rohbauzustand. Am 15.03.2022 wurde auf der Liegenschaft mit dem Bau von zwei Doppelhaushälften begonnen, diese sind bis heute nicht fertiggestellt. Die Baubewilligung wurde allerdings erst am 09.10.2023 erteilt. Der Rohbau besteht aus Keller, Erdgeschoss, Obergeschoss und Dachgeschoss. Hinsichtlich Fertigstellungsgrad, Bauzustand, Fertigstellungskosten und Rückbaukosten wird auf das Gutachten des Sachverständigen DI Martin. Buschina verwiesen. Es bestehen keine bewertungsrelevanten Lasten. Die Liegenschaft ist nicht vermietet. Informationen über eventuell bestehende Abgabenrückstände liegen nicht vor.
Grundstücksgröße: 310 m²
Objektgröße: 190,01 m²
Schätzwert: 1.651.600,00
geringstes Gebot: 1.404.000,00
Vadium: 165.160,00
Langgutachten: SV 047a-2024 Gutachten sign.pdfSV 047a-2024 Gutachten sign.pdf  
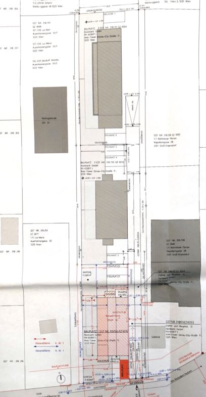
Lageplan: Lage.JPGLage.JPG  
Grundriss: Bauplatz 1 EZ 6032.jpgBauplatz 1 EZ 6032.jpg   _KG.JPG_KG.JPG   _EG.JPG_EG.JPG   _OG.JPG_OG.JPG   _DG.JPG_DG.JPG  
Fotos: EZ 6032-1.jpgEZ 6032-1.jpg   EZ 6032-2.jpgEZ 6032-2.jpg   EZ 6032-3.jpgEZ 6032-3.jpg   EZ 6032-4.jpgEZ 6032-4.jpg   EZ 6032-5.jpgEZ 6032-5.jpg  
Direktlink: https://edikte.justiz.gv.at/    (Eingebundene Vorschaubilder sind embedded content von edikte.justiz.gv.at; die Links verweisen direkt auf die entsprechende externe Seite.)


Top Versicherungsschutz für Ihre Immobilie.
Durch online-Preisvergleich zur besten Eigenheimversicherung.
Top aktuelle Angebote: Stand 12/2025
Online-Test: Eigenheimversicherung
  Ideal für Beträge von 1.000 € bis 75.000 €
Der Ratenkredit aus dem Internet.
Einfach Zuhause die Anbieter vergleichen.
Abschluss online - schnell am Konto!
Hier: Kreditrate und Zinssatz berechnen!
  Das Maximum herausholen!
Die besten Sparzinsen Österreichs.
Fix (Festgeld) oder flexibel (täglich fällig).
Kostenloser Online-Zinsvergleich.
12/2025: Sparzinsen

Ortsende Wien  ♦  Niederösterreich  ♦  Burgenland  ♦  Oberösterreich  ♦  Salzburg  ♦  Tirol  ♦  Vorarlberg  ♦  Steiermark  ♦  Kärnten   

| Impressum  |  Datenschutz |