Zwangsversteigerung: 1150 Wien Ortnergasse 7 - Eigentumswohnung

Ortsanfang    Ortsanfang  


Wien  ♦  Niederösterreich  ♦  Burgenland  ♦  Oberösterreich  ♦  Salzburg  ♦  Tirol  ♦  Vorarlberg  ♦  Steiermark  ♦  Kärnten


Information   Details
Edikt: Versteigerung (24.04.2026)
Gericht - Aktenzeichen: BG Fünfhaus (013) - 39 E 58/25y
Liegenschaftsadresse: 1150 Wien Ortnergasse 7
Kategorie: Eigentumswohnung
Objektbezeichnung: Wohnung 37 - Rohbau
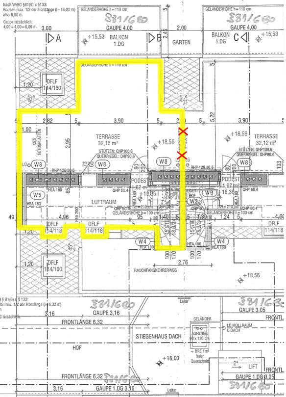
Beschreibung: Das Wohnhaus im 15. Wiener Gemeindebezirk wurde zu Beginn des 20.Jahrhunderts errichtet, seit Errichtung des Wohnhauses erfolgten diverse Wohnungsumbauten. Der Dachgeschossausbau, ein Lifteinbau, Balkonzubauten und diverse Umbauten wurden aufgrund der Baubewilligung aus dem Jahr 2017 begonnen und sind nicht fertiggestellt (siehe auch Beilage 7 - Gutachten über Mängel und unfertige Bauarbeiten). Das Gebäude besteht aus einem Kellergeschoss, einem Erdgeschoss, drei Obergeschossen und zwei Dachgeschossen. Im Kellergeschoss sind Kellerabteile und eine Werkstätte geplant, jedoch nicht fertiggestellt. Im Erdgeschoss, den Obergeschossen und den Dachgeschossen sind ausschließlich Wohnungen vorhanden. Das Gebäude ist in Massivbauweise errichtet und hat straßenseitig eine gegliederte Fassade, das Dach ist als Satteldach mit Dachgauben ausgebildet. Das Gebäude soll mit einem Aufzug ausgestattet werden, Aufzugsschacht ist im Rohbau vorhanden (mit OSB-Platten verschlossen), die mechanische Aufzugsanlage ist nicht vorhanden. Das Wohnhaus ist parifiziert, an der Werkstätte und den Wohnungen ist Wohnungseigentum begründet und im Grundbuch der EZ 248 eingetragen. Die Kellerabteile sind den Wohnungseigentumsobjekten nicht als Zubehör gemäß WEG zugeordnet. Das Wohnhaus ist parifiziert, an der Werkstätte und den Wohnungen ist Wohnungseigentum begründet und im Grundbuch der EZ 248 eingetragen. Die Kellerabteile sind den Wohnungseigentumsobjekten nicht als Zubehör gemäß WEG zugeordnet. Das Wohnhaus ist in einem mittleren Zustand vorhanden, vorhandene Mängel und unfertige Arbeiten sind im Gutachten über Mängel und unfertige Bauarbeiten (Beilage 7) dokumentiert. Im Stiegenhaus sind Leitungen offenliegend, Revisionsöffnungen unfertig verschlossen, Absturzsicherungen fehlen bei Stiegenhausfenster sowie dem Stiegengeländer, Fußbodenbelag im Stiegenhaus ab dem 3. Obergeschoss ist nicht vorhanden. Brandschutztüren, Brandrauchentlüftung, Druckbelüftungsanlage, Blitzschutzanlage, Lüftungsleitungen,...fehlen. Bei den Stiegenhausfenster sind die Anschlüsse sowie Fensterbänke mangelhaft ausgeführt. Behindertengerechter Zugang zum geplanten Aufzug ist nicht vorhanden (Rampe im EG fehlt). Im Außenbereich sind Verblechungs- und Fassadenanschlüsse sowie Entwässerungsableitungen mangelhaft ausgeführt. Der Wartungssteg am Dach ist unfertig. Durchgangslichte beim Stiegenaufgang zu gering (mind. 2,1m erforderlich). Der Müllraum und der Fahrradabstellraum gemäß Baubewilligung fehlen. Die geplanten sowie behördlich vorgeschriebenen Fluchtwege im Freien für die Wohnungen Top 36 und Top 37 sind unvollständig bzw. mangelhaft ausgeführt. Bauwerksstatische und vermessungstechnische Überprüfungen sowie bautechnische und haustechnische Bauwerksüberprüfungen haben durch den Sachverständigen im Zuge der Befundaufnahme auftragsgemäß nicht stattgefunden (kein bautechnisches Gutachten), die Beschreibung der vorhandenen Bauausführungen erfolgte ausschließlich durch augenscheinliche Befundung des Gebäudebestandes (ohne Bauwerksöffnungen). Die Wohnung Top 37 liegt im 1. und 2. Dachgeschoss und befindet sich im unfertigen Rohbauzustand, als Eingangstüre ist eine Baustellentüre montiert, die Zwischenwände sind unfertig. Die Belichtung erfolgt durch Kunststoff/Alufenster. Im 1.Dachgeschoss befinden sich die Wohnräume sowie ein Balkon, im 2.Dachgeschoss ist eine Terrasse vorhanden. Die Terrasse ist mit Schwarzdeckung ohne Belag versehen, die Balkon- und Terrassengeländer sind mit beschichteten Metall-Lochblech ausgeführt. Die geplanten sowie behördlich vorgeschriebenen Fluchtwege im Freien für die Wohnungen Top 36 und Top 37 sind unvollständig bzw. mangelhaft ausgeführt.
Grundstücksgröße: 547 m²
Objektgröße: 73,46 m²
Schätzwert: 167.000,00
geringstes Gebot: 83.500,00
Vadium: 16.700,00
Langgutachten: GZ-26003-1150_Ortnergasse7-a.pdfGZ-26003-1150_Ortnergasse7-a.pdf   BeilagenTeil1.pdfBeilagenTeil1.pdf   BeilagenTeil2.pdfBeilagenTeil2.pdf  
Lageplan: Stadtplan.jpgStadtplan.jpg   Widmung.jpgWidmung.jpg  
Grundriss: Grundriss-Top37-DG1.jpgGrundriss-Top37-DG1.jpg   Grundriss-Top37-DG2.jpgGrundriss-Top37-DG2.jpg  
Fotos: P1120130.JPGP1120130.JPG   P1120177.JPGP1120177.JPG   P1120168.JPGP1120168.JPG   P1120215.JPGP1120215.JPG   P1120180.JPGP1120180.JPG   P1120208.JPGP1120208.JPG   P1120073.jpgP1120073.jpg   P1120129.JPGP1120129.JPG  
Direktlink: https://edikte.justiz.gv.at/    (Eingebundene Vorschaubilder sind embedded content von edikte.justiz.gv.at; die Links verweisen direkt auf die entsprechende externe Seite.)


Autoversicherung online 04/2026.
Anbieter in ganz Österreich vergleichen
und damit bis zu 700 Euro sparen.
Versicherung bequem online abschließen.
Jetzt Prämie sparen: Autoversicherung
  Ideal für Beträge von 1.000 € bis 75.000 €
Der Ratenkredit aus dem Internet.
Einfach Zuhause die Anbieter vergleichen.
Abschluss online - schnell am Konto!
Hier: Kreditrate und Zinssatz berechnen!
  Top Versicherungsschutz für Ihre Immobilie.
Durch online-Preisvergleich zur besten Eigenheimversicherung.
Top aktuelle Angebote: Stand 04/2026
Online-Test: Eigenheimversicherung

Ortsende Wien  ♦  Niederösterreich  ♦  Burgenland  ♦  Oberösterreich  ♦  Salzburg  ♦  Tirol  ♦  Vorarlberg  ♦  Steiermark  ♦  Kärnten   

| Impressum  |  Datenschutz |